|
ログインする
|
新規登録する
|
様宛に
メールを送信いたしました。
メールのURLよりログインをお願いいたします。

こちらの物件は、通常約90万円の仲介手数料がかかりますが、住まい工房ならゼロ円です。まずはお気軽にお問い合わせください。詳しくは→こちら

こちらの物件は、通常の仲介の場合約90万円の仲介手数料がかかりますが住まい工房ならゼロ円です。
まずはお気軽にお問い合わせください。詳しくは→こちら
交通量の少ない落ち着きある住環境です。
交通量の少ない落ち着きある住環境です。
資料請求をする |
見学予約をする |
![]() |
清明小学校 963m(約13分) | 地図で確認 |
![]() |
清瀬第三中学校 450m(約6分) | 地図で確認 |
| 清瀬市立第3保育園 827m(約11分) | 地図で 確認 |
| 中里どろんこ保育園 1060m(約14分) | 地図で 確認 |
| 清瀬たから幼稚園 1006m(約13分) | 地図で 確認 |
| 清瀬ひかり幼稚園(認定こども園ひかり) 896m(約12分) | 地図で 確認 |
| マルエツ 清瀬中里店 1053m(約14分) | 地図で 確認 |
![]() | ビッグ・エー 清瀬旭が丘団地店 960m(約12分) | 地図で 確認 |
| ミニストップ 清瀬下宿店 410m(約6分) | 地図で 確認 |
| セブンイレブン 清瀬下宿1丁目店 506m(約7分) | 地図で 確認 |
| スギドラッグ 清瀬旭が丘店 515m(約7分) | 地図で 確認 |
| 下宿図書館(下宿地域市民センター) 568m(約8分) | 地図で 確認 |
| きよせ旭が丘記念病院 812m(約11分) | 地図で 確認 |
| 清瀬下宿中央診療所 526m(約7分) | 地図で 確認 |
| 下田児童遊園 652m(約9分) | 地図で 確認 |
| 旭が丘台田原児童遊園 639m(約8分) | 地図で 確認 |
| 清瀬旭が丘郵便局 1009m(約13分) | 地図で 確認 |

こちらの物件は、通常の仲介の場合約90万円の仲介手数料がかかりますが住まい工房ならゼロ円です。
まずはお気軽にお問い合わせください。詳しくは→こちら

こちらの物件は、通常約90万円の仲介手数料がかかりますが、住まい工房ならゼロ円です。まずはお気軽にお問い合わせください。詳しくは→こちら
資料請求をする |
見学予約をする |
資料請求をする |
見学予約をする |

|
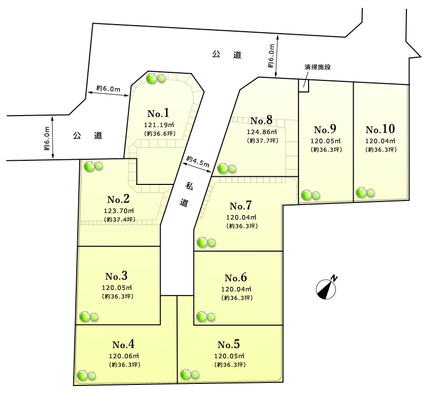
清瀬市下宿1丁目 土地 全10区 1区
2680万円
周辺には畑が多く残るのどかな住環境です。売地 全10区画。1区は、三方向角地でとても開放感があります。南西向き、南東側がカースペースのため陽当たり良好です。条件なしの売地のため、お好きなハウスメーカーで建築していただけます。
|
|
清瀬市下宿1丁目 土地 全10区 2区
2530万円
周辺には畑が多く残るのどかな住環境です。売地 全10区画。2区は、北東向きの立地。ひな壇地で道路より高く開放感があります。南東側がカースペースになります。条件なしの売地のため、お好きなハウスメーカーで建築していただけます。
|
|
清瀬市下宿1丁目 土地 全10区 3区
2480万円
周辺には畑が多く残るのどかな住環境です。売地 全10区画。3区は、北東向きの立地。条件なしの売地のため、お好きなハウスメーカーで建築していただけます。
|
|
清瀬市下宿1丁目 土地 全10区 4区
2280万円
周辺には畑が多く残るのどかな住環境です。売地 全10区画。4区は、旗竿型の敷地ですが、南東側隣地が畑のためとても陽当たり良好です。条件なしの売地のため、お好きなハウスメーカーで建築していただけます。
|
|
清瀬市下宿1丁目 土地 全10区 5区
2280万円
周辺には畑が多く残るのどかな住環境です。売地 全10区画。5区は、旗竿型の敷地ですが、南東側隣地が畑のためとても陽当たり良好です。条件なしの売地のため、お好きなハウスメーカーで建築していただけます。
|
|
清瀬市下宿1丁目 土地 全10区 6区
2480万円
周辺には畑が多く残るのどかな住環境です。売地 全10区画。6区は、約36.3坪の整形地。南西向きで陽当たり良好です。北東側隣地が畑のため開放感があります。条件なしの売地のため、お好きなハウスメーカーで建築していただけます。
|
|
清瀬市下宿1丁目 土地 全10区 8区
2630万円
周辺には畑が多く残るのどかな住環境です。売地 全10区画。8区は、約37.7坪。南西向きで陽当たり良好です。角地で開放感のある区画です。条件なしの売地のため、お好きなハウスメーカーで建築していただけます。
|
|
清瀬市下宿1丁目 土地 全10区 9区
2480万円
周辺には畑が多く残るのどかな住環境です。売地 全10区画。9区は、約36.3坪の整形地。北西の接道ですが、南東側隣地が畑のため、とても陽当たり良好です。条件なしの売地のため、お好きなハウスメーカーで建築していただけます。
|
|
×
※「確認日」は住まい工房で確認のとれた 閉じる
|
登録したお気に入り物件は
ページ上部のお気に入りアイコン
から確認できます。

清瀬市中里6丁目69-1
清瀬駅 バス 15分 「台田団地中央」停 4分
土地:120.01 m²

清瀬市旭が丘1丁目277-8
清瀬駅 バス 11分 「団地交番前」停 2分 ほか
建物:102.47m² 土地:141.65 m² 4LDK

清瀬市下宿1丁目197-1
清瀬駅 バス 13分 「台田団地」停 8分 ほか
土地:123.7 m²